Huracán ‘Melissa’ amenaza con arrasar Jamaica y Cuba con vientos de 281 km/h
Vivo Noticias
@VivoNoticiasMx
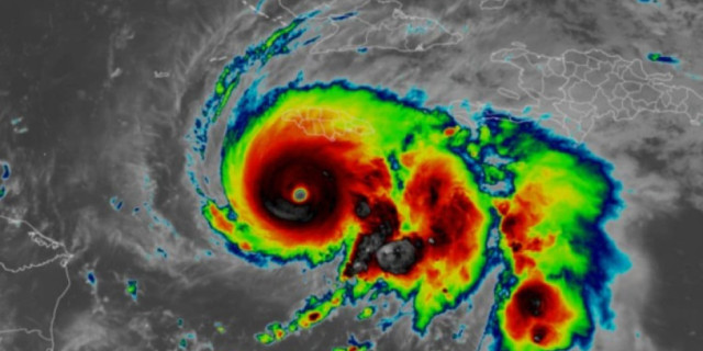
FLORIDA, EE.UU.- El
huracán ‘Melissa’ se intensificó rápidamente hasta alcanzar la categoría 5, la
más alta en la escala Saffir-Simpson, mientras avanza por el mar Caribe. El fenómeno, con
vientos máximos sostenidos de 281 kilómetros por hora, se ubicaba a 210
kilómetros al sur-suroeste de Jamaica, de acuerdo con el Centro Nacional de
Huracanes de Estados Unidos (NHC). En solo dos días, el
huracán evolucionó de categoría 2 a 5, un comportamiento que refleja las
condiciones extremas del océano en una región afectada por el calentamiento
global. Las autoridades meteorológicas advirtieron que vientos dañinos, lluvias
torrenciales e inundaciones catastróficas impactarán Jamaica entre la noche del
lunes y la mañana del martes. El fenómeno ya provocó
el cierre de los dos principales aeropuertos internacionales de Jamaica y la
suspensión de vuelos en toda la isla. La Marina de Estados
Unidos retiró al personal no esencial de su base en Guantánamo, Cuba, ante la
posibilidad de que el huracán continúe su trayectoria hacia el oriente cubano.
Meteorólogos advierten que el lento desplazamiento de ‘Melissa’ agravará las
inundaciones en el Caribe, pues sus lluvias más intensas podrían persistir
durante varios días, amplificando el impacto de uno de los huracanes más
potentes en la historia reciente de la región. Con información de El
Financiero
